庄支所が完成し完成記念式典を執り行いました
このページはWeb版広報くらしきに掲載されています。
完成した庄支所・庄分団消防機庫

令和6年11月より進めてまいりました庄支所・庄分団消防機庫の整備工事が、このたび完了し、全面オープンしました。
新しい庁舎は、環境に配慮した「Nearly ZEB」認証を取得し、利便性の高い窓口や多目的な会議室を備えています。これからも庄地区の皆様に寄り添い、安心して頼っていただける行政拠点として、努めてまいります。
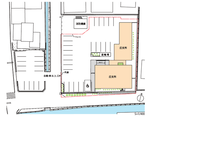
事業概要

配置図

建物平面図

完成記念式典の様子


このページに関するお問い合わせ
倉敷市 総務局 総務部 本庁舎エリア再編整備推進室
〒710-8565 倉敷市西中新田640番地
電話番号:086-426-3130 ファクス番号:086-421-2400
倉敷市 総務局 総務部 本庁舎エリア再編整備推進室へのお問い合わせ










